hhBest

bekijkt 't vanuit een andere hoek

Home hhBest
Bus

Bus zou ook 30 km moeten

18|10|05
In Best Informatief, de wekelijkse voorlichtingspagina's van de gemeente staat een waarschuwend stukje over het gebruik van de vrije busbaan in Heivelden. De fietsers, voetgangers en spelende kinderen zijn gewend die busbaan te benutten vanuit de situatie dat er géén bus rijdt. Dat leidt, nu de busbaan door een streekbus in gebruik is genomen, tot gevaarlijke situaties, zo melden de chauffeurs. De gemeente heeft daarop de bewoners gewaarschuwd, dat de buurtagent en de BOA's (Bijzondere Opsporingsambtenaren) zullen gaan letten op verantwoord verkeersgedrag. hhBest neemt aan, dat daarbij ook hoort, het aanhouden van de maximum snelheid van 50 km/uur door de bussen. En wellicht is het niet onverstandig, die maximum snelheid in overeenstemming te brengen met die in de omliggende straten, namelijk 30 km/uur.

Reacties

Ik woon er wel niet, maar ik begrijp best dat een bus inderdaad OOK niet harder mag dan 50.
En er ZEKER rekening mee moet houden dan ‘men’ het niet gewend was dat er verkeer langs kwam…
Maar om nu het volgende te stellen: En wellicht is het niet onverstandig, die maximum snelheid in overeenstemming te brengen met die in de omliggende straten, namelijk 30 km/uur
Nou… da’s wel erg langzaam voor zo’n mooie racebaan… en.. kost ook wel erg veel tijd.. toch?

Willem Schaaij


Even reageren op het artikel van de busbaan,ik woon er dus wel. Is inderdaad niet onverstandig dat de bus met 30 km p.u. er door heen rijdt, beter als een slak zigzaggend om de kinderen heen, die er spelen, als dat ie er door heen racet met 50 Niet elk kind reageert zo snel als er een bus aan komt denderen......

Wanda Michielsen, Best

Date: 18/03/2006 12:53


Ik reageer op de maximum snelheid op de busbaan: Een maximum snelheid op de busbaan in Heivelden is op zich wel een goed punt, alleen is het laten rijden van die bus helemaal niet meer rendabel. Nu is de bus al zeer matig bezet. Als hij dan ook nog eens langzamer moet gaan rijden op het stuk door Heuveleind/Heivelden kost het laten rijden van de bus dus nog meer. Ik ben van mening dat het aan de ouders van kinderen die op de busbaan spelen is, dat zij de kinderen duidelijk maken om ergens anders te gaan spelen. Het is immers gewoon een weg, die gesloten is voor alle verkeer behalve lijnbussen en fietsers. Spelen op de weg is niet veilig, waarom zouden kinderen dan wel op de busbaan mogen spelen. Voor fietsers zijn er aan beide zijden van de busstrook fietsstroken. Dus iedereen heeft zijn eigen plek voor het vervoer over deze baan. Ik moet ook zeggen dat chauffeurs van de lijnbus zeer langzaam de oversteek bij het fietspad bij de scholen passeren. Ik zit dagelijks in die bus dus ik kan het weten. Mijn eindconclusie: Maximum snelheid op de busbaan NIET verlagen naar 30 km/h, maar gewoon 50 km/h laten.

Jeroen van Dommelen, Best

Date: 19/03/2006 16:39

Reageren kan ook per e-mail


Busbaan

19|02|06
Bij de bassischolen en kinderopvang van Heuveleind/Heivelden, aan het begin van de vrije busbaan zijn borden met vier grote foto's geplaatst die ouders en kinderen instrueren over een goed gemeenschappelijk gebruik van de vrije busbaan.

Drie cases met de duim omlaag en één met de duim omhoog.

De busbaan was enige jaren gepriviligeerd bezit van voetgangers, fietsers en spelende kinderen. Toen vorig jaar (eindelijk) de bus haar intrede deed, kwam er van samenspel in het verkeer niet veel terecht. Vandaar...

 

Nieuwe busverbinding voor Best


Vanaf 28 augustus 2005 zien de BBA en het Samenwerkingverband Regio Eindhoven (SRE) mogelijkheden om de wijken Heivelden en Heuveleind in Best te gaan bedienen per openbaar vervoer. In het kader van meerjarenafspraken tussen beide partijen kunnen er weer extra ritten aangeboden worden aan de reiziger.

Lijn 142 blijkt een succesvolle lijn te zijn. De BBA is daarom met het voorstel gekomen om deze lijn te versterken op het traject Oirschot-Best-Eindhoven. Het SRE heeft vervolgens aan de BBA verzocht om de ritten door de wijken Heivelden en Heuveleind in Best te laten lopen, omdat dit een wens is van de gemeente Best en de bewoners van deze wijken. Binnen de huidige dienstregelingen van de lijnen 141 en 142 was hier geen ruimte voor. De nieuwe lijn 144 Oirschot-Best-Eindhoven heeft daarvoor wel ruimte in de dienstregeling. Vanaf 28 augustus gaat deze lijn op werkdagen per richting tien ritten rijden. Tijdens de vakantie rijdt de bus minder vaak, namelijk alleen op spitstijden drie keer per richting.
De gemeente en het SRE moeten samen nog bepalen welke route de bus precies in Best gaat rijden en waar de haltes komen.

Bron: www.gemeentebest.nl

Doorsturen

 

Advies raadscommissie VROM aan B en W: Geen onomkeerbare dingen doen

Busbaan wordt busbaan +

VROM
De Bestse raadszaal met stampvolle tribune tijdens de inspraak van de voorzitter van het appartementencomplex Veldtstaete (rechts). Op de voorgrond wethouder Gondrie. Naast hem, de voorzitter van Bewonersoverleg Heivelden, mevrouw Terpstra.

15|04|05
De vrije busbaan door Heuveleind en Heivelden in Best blijft en zal hooguit 'een plusje' krijgen om de functie van autovrije, recreatieve groenstrook in het hart van de wijk te versterken.

Niks openstelling voor autoverkeer dus, tot grote vreugde en complete geruststelling van de omwonenden. De raadscommissie van Volkshuisvesting, Ruimtelijke Ordening en Milieu (VROM), letterlijk door Burgemeester en Wethouders om raad gevraagd over deze kwestie, verklaarde unaniem en duidelijk, dat met de busbaan geen onomkeerbare dingen mogen gebeuren.

Sterker nog, er wordt blijvend rekening gehouden met ooit toch een lijnbus.

'Maak er maar een beeldentuin van'

Glimlachende commissieleden hoorden T. van Bostelen, de nieuwe voorzitter van de Vereniging van Eigenaren Veldtstaete zijn inspraaktermijn afronden met de ietwat badinerende woorden: 'Maak er maar een beeldentuin van'. Waarmee de opvattingen van de direct omwonenden waren samengevat: 'Wij kochten onze appartementen omdat ze volgens de gemeente (!) aan een autovrije groenstrook zouden komen te liggen.'

De overigens minzame Van Bostelen die zei alle vertrouwen te hebben in de manier waarop het Bestse gemeentebestuur met zijn ingezetenen omgaat - vurige kolen, kun je wel zeggen - kon ook best grimmig zijn, toen hij erop wees dat de belanghebbenden zich tot het uiterste zouden verzetten als men zich in het hoofd zou halen, autoverkeer anders dan bussen over deze kaarsrechte weg te sturen. Dat zou de gemeente onnoemelijk veel geld gaan kosten, niet alleen aan planschadevergoedingen, maar ook bij voorbeeld aan het isoleren van de niet op passerend snelverkeer berekende gevels. De door Van Bostelen gebruikte tekst, is hieronder weergegeven.

De voorzitter van het Bewonersoverleg Heivelden, mevrouw Terpstra, legde het accent zo goed als op het uitblijven van enige busverbinding. Men had proefondervindelijk vastgesteld, dat omrijden van de BBA-lijnen 141 en 142 via Heuveleind-Heivelden slechts een minutenkwestie zou zijn. Ook het alleen aandoen van Heivelden zou een optie kunnen zijn. Mevrouw Terpstra wees er verder op, dat Heivelden bestempelen als een jonge wijk, niet meer reëel is: een-zesde van de bewoners zou al 55 plus zijn.

Afrekenen met SRE

Wat tijdens de hierop volgende discussie kwam bovendrijven, was de breed gedragen opvatting, dat het Samenwerkingsorgaan Regio Eindhoven (SRE) nog niet van Best af is. Het SRE was de grote promotor van het Openbaar Vervoer en de aanleg van die vrije busbaan maar - om met wethouder Gondrie te spreken - 'wel lekker maken, maar als het op incasseren aankomt, pleegt dit orgaan het te laten afweten'.

Emiel Bootsma van Best Open herinnerde eraan, dat de gemeenteraad destijds bij het aanvaarden van de opdracht 'woningen te bouwen voor Eindhoven' bij motie de conditie heeft gesteld, dat het openbaar vervoer goed zou worden geregeld. Zo niet 'dan gaat het feest niet door', daar kwam het - en komt het volgens Bootsma nog steeds - op neer. Dit is onrustig politiek vaarwater, zo bleek uit de reactie van Dick Kroot van het CDA, die zo'n beetje neerkwam op: uuuuuh? Want om zomaar de groei op te geven...? Maar dat er op een of andere manier afgerekend moet worden met de SRE over dat openbaar vervoer, vindt ook wethouder Gondrie, die zich het vuur uit de schenen heeft gelopen voor die buslijn(en) en van plan is te blijven beuken. Voorlopig zullen er ten behoeve van de ouderen compenserende maatregelen moeten worden genomen. De wethouder gaat onderzoeken, of de zogenaamde CWV-regeling (vervoer op afroep voor gehandicapten) met de groep 60- of 65-plussers kan worden uitgebreid.

De rest ging over 'Wat nu?' en daarover bestond grote eensgezindheid: Kroot van het CDA zei het zo: 'Die busbaan heeft nu wel degelijk de functie van rustpunt en die vinden wij belangrijk.' Het argument voor de inrichting van deze groenstrook met busbaan annex fietsstroken was ook: het fietsgebruik bevorderen. Dat argument geldt nog steeds, aldus Dick Kroot. Hij constateerde vervolgens dat 'verschillende ondernemers in het winkelcentrum Heivelden geen behoefte hebben aan het opengooien van de busbaan voor autoverkeer'. Hij verwachtte daarvan trouwens toenemende filevorming ter hoogte van de aansluiting Heivelden West, met als gevolg meer onveiligheid voor de talrijke schoolkinderen. 'Die busbaan heeft ons al genoeg tijd en geld gekost. Laten we hem meer aanpassen voor recreatief gebruik', zo besloot de CDA-woordvoerder, die daarmee een bijna even ferm applaus oogstte als eerder de voorzitter van Veldtstaete.

Bussluizen
De plek waar een 'doorsteek' denkbaar is.

Toch één doorsteek?

Jo van den Bogaard (Jongerenpartij): 'Helemaal mee eens, de wijkbewoners zijn trouwens aan de bestaande routes gewend. Prima rustpunt. Hartstikke lekker om daar te zijn.'

W. Gloudemans van Puur Bests Belang kreeg geen handen op elkaar voor zijn idee om nog eens te onderzoeken, of er nog 'een paar doorsteken' mogelijk zouden zijn om de ontsluiting van Heivelden te verbeteren.
Waar kennelijk niemand aan dacht, is de mogelijkheid om het stukje busbaan naast het winkelcentrum wèl open te maken. Daarmee zouden 1. de parkeerplaats die nu als verbindingsweg tussen Heivelden en Heuveleind wordt gebruikt plus de daarbij behorende uitritten worden ontlast, 2. Heivelden en Heuveleind een voor de hand liggende wegverbinding krijgen.

Er moeten wel vier bussluizen voor worden opgeruimd (of 'omkeerbaar' omgevormd tot verkeersremmers) en de kruising met fiets- en voetpaden achter het winkelcentrum moet natuurlijk een 'veilig plateau' worden, met als het kan voorrang voor de zwakke verkeersdeelnemers. De CDA-commissieleden toonden zich na afloop van de vergadering niet ongeïnteresseerd in deze suggestie. Wethouder Gondrie knikte ook, maar zei diplomatiek: 'Ik ga nu eerst studeren'.

Het sterkst voor het door blijven hameren op het openbaar vervoer, toonde zich per traditie Ine Meeuwis van D66: 'Wij willen niet toegeven dat een bus daar geen toekomst zou hebben. Die is er wel. We hebben er gewoon recht op.'
Wethouder Gondrie zei het hiermee eens te zijn. Hij verwacht dat door verdere uitbreidingen van Best in Dijkstraten en Aarle de behoefte alleen maar zal toenemen. De verwachting dat voor het openbaar vervoer 'betere tijden' zouden kunnen aanbreken - al was het alleen maar doordat Nederlands verzadigd is van auto's en hun uitlaatgassen - klonk al door in de woorden van de voorzitter van Veldtstaete en bleef de hele avond op de achtergrond.


Doorsturen

Reageren kan ook per e-mail

Naar boven

Inbreng voorzitter Vereniging van Eigenaren Veldtstaete (Heivelden) Bestse raadscommissie VROM 14 april 2005

Agendapunt: Busbaan

Vragen en opmerkingen mbt bestemmingsplan:
* Welke verkeersbestemming(en) waren voorzien in het oorspronkelijke BP voor de open ruimte in de Heivelden? Was dat een fietspad, een busbaan of nog iets anders?

* Is de OV baan aangelegd na ruggespraak met de regiogemeenten in het kader van het te ontwikkelen HOV-net in de regio, of was het, zoals de wethouder enkele weken geleden tijdens een openbare gedachtenwisseling opmerkte, op speciaal verzoek van de SRE?

Ik merk op dat bij de aankoop alle potentiële kopers uitvoerig door de gemeemte zijn ontvangen en voorgelicht over de aantrekkelijkheden van het het complex VELDTSTAETE, nl het wonen aan de groene as in een verkeersluwe omgeving. Er werd zelfs een groenplan gepresenteerd, waarbij op de kruising Moerveldenpad/Dopveldenpad een fietsrotonde met bomen en zitbanken in het groen was voorzien.

De bouwer liet ons weten ernstig getwijfeld te hebben aan de verkoopbaarheid van appartementen in een buitenwijk, ver van het centrum waar alle voorzieningen zijn. De verkoop slaagde omdat de appartementen gelegen zijn aan een groenstrook en vrij van verkeerslawaai. Het nu besluiten toch autoverkeer toe te laten op een als busbaan bedoelde weg is op zijn zachts gezegd niet zo netjes. De bouwwijze met aan beide zijden hoge gevels kaatst het geluid van gemotoriseerd verkeer, waaronder zelfs brommers en scooters, zo hard terug, dat je ze al heel ver hoort aankomen. We hebben dat mogen ervaren in de periode, dat de busbaan als bouwstraat nog open was voor alle verkeer.

Het onderzoek van buro Gloudemans
De globale berekening van de verkeers- en geluidsoverlast is zeer aanvechtbaar. Het aantal verkeersbewegingen is gebaseerd op een veel te laag aantal woningen. Het verkeer op een vrijwel rechte weg van de Ringweg tot de Oirschotseweg, die de busbaan nu is, komt uit alle wijken, dus Kantonnier, Naastenbest, Heuveleind en Heivelden en dat zijn 4787 woningen * 7 = 33509. Als we daar dan eens 1/3 van nemen, dus meer dan 10000 vervoersbewegingen, dan zitten we een stuk dichter bij de werkelijkheid. U moet zich realiseren dat ook sluipverkeer van de A58 en naar de Makro vanuit Oirschot een niet te vergeten factor is. Ook de A58 heeft voor de hoeveelheid verkeer, die er nu en in de toekomst gebruik van maakt, te weinig capaciteit en uitbreiding al of niet met spitsstroken zit er niet meer in.
De grote overlast, die een dergelijke verkeersstroom meebrengt, heeft natuurlijk planschade en milieuschade tot gevolg. Landelijk is recentelijk gebleken dat de lucht in onze regio nu al zo vervuild is, dat geen extra verkeersvoorzieningen meer mogen worden getroffen. Alle kaarten moeten worden gezet op een krachtige ontwikkeling van het Openbaar vervoer. Onbegrijpelijk, dat onder die omstandigheden een OV-baan wordt weggesaneerd. Bovendien zullen er voorzieningen aan de gevels moeten worden getroffen.
U zult begrijpen, dat U onder deze omstandigheden moet rekenen met forse planschadeclaims, om nog maar niet te spreken van de kosten voor het treffen van voorzieningen tot wering van de geluidshinder. Dat ook de Rechter gevoelig is voor deze argumenten, die leiden tot aanzienlijke schadevergoedingen, blijkt uit recente ontwikkelingen, ook in deze gemeente en regio, in de jurisprudentie.

Ten Slotte:
Wij, bewoners van Veldtstaete, maar ook velen daarbuiten, zo is ons uit reakties gebleken, willen U nog een optie voorleggen ter overweging, nl de 0-optie, ofwel, zoals ook de wethouder al eens opmerkte, ".... de busbaan gewoon laten liggen, zoals hij er ligt". Hij is nu een speelplaats voor honderden jongeren en ouderen, zoals fietsers, wandelaars, joggers, jeu de boulers, sceelers, hondenliefhebbers, enz., enz. Nog een paar suggesties: Maak van de open ruimte een beeldentuin en zet het lang verwachte monument midden op de kruising met het Dopveldenpad. Uw loon zal zijn veel tevreden burgers, die weten dat wij een gemeentebestuur hebben, dat echt naar haar burgers luistert.

T van Bostelen
Voorzitter VVE Veldtstaete
e-mail: tvanbostelen@home.nl

Terug naar verslag vergadering raadscommissie VROM

Naar begin van dat verslag


Oproep aan alle groen-en kalmte-minnende
bewoners van Heivelden.

Donderdagavond 14 april om ca. 20.00 uur in het Gemeentehuis - vergadert een commissie van de Bestse gemeenteraad over de bestemming van het Moerveldenpad, een gepland fietspad dat is veranderd in een busbaan. Gezien de gemeentelijke plannen en studies dreigt het Moerveldenpad nu te veranderen in een tweebaansautoweg die open staat voor alle verkeer, met daarnaast nog eens een fietspad van 3,5 meter breed. Dit zou het einde betekenen van de groene zone in het hart van Heivelden.

De voorzitter van de Vereniging van Eigenaren van Veldstaete, gelegen aan het Moerveldenpad, gaat tijdens deze gemeentelijke commissievergadering inspreken. U kunt zijn betoog kracht bijzetten door daarbij aanwezig te zijn.

Op 25 april om 20.00 uur gaat de gemeenteraad een besluit nemen over de bestemming van het Moerveldenpad. Ook daar kunt u bij aanwezig zijn, al was het alleen maar om te zien van welke partijen u hier in de gemeente Best wat kunt verwachten.

Voor meer informatie kunt u kijken op: http://www.hhbest.nl/ en dan naar “Best” en dan naar “Busbaan”. Of klik hier

Geheel op persoonlijke titel,

Thomas Versteegh / thomasversteegh@home.nl


  • Gemeenteraad Best op 25 april voor keuzes:

    Zelf financieren busvervoer - wel/niet
    openen busbaan voor alle verkeer

     

    06|04|05
    Op 25 april staat de gemeenteraad van Best voor de beslissing, wat te doen met de groenstrook in het hart tussen de appartementsgebouwen in de wijk Heivelden: het Moerveldenpad, beter bekend (of berucht, zo men wil) als de vrije busbaan.

    Bij de verkoop van de appartementen aan deze groenstrook, hebben ambtenaren van de gemeente Best de gegadigden voorgehouden, dat in deze groenstrook naast beplanting en fiets- en voetpaden hooguit een vrije busbaan zou komen. Zo staat het ook aangegeven in de bestemmingsplannen. Alles ligt er nu een aantal jaren, alleen...er rijdt door het financieel afhaken van verantwoordelijke overheden geen bus.

    Er is ook geen zicht op inpassing van de vinexlocatie Heuveleind-Heivelden in de BBA-buslijnen 141 en 142. Een proef met een lijn 144 (stadsbus oftewel stadslus) was gedoemd te mislukken.
    De gemeenteraad zal nu moeten zeggen, hoe het verder moet, nadat het dagelijks bestuur van de gemeente een aantal zaken heeft laten onderzoeken.

     

    Skatingbaan

    11|04|05

    De busbaan wordt in de kinderrijke wijk Heuveleind/Heivelden intensief gebruikt voor verschillende vormen van skating.

    Busbaan
    Het Moerveldenpad met busbaan in de winter van 2005.

    Die raad is voor de volgende keuze gesteld (voor het eerst aan de orde in een vergadering van de Commissie VROM op 14 april):

    - Het zelf financieren van busvervoer over de busbaan;

    - het wel of niet openstellen van de busbaan voor alle verkeer.

    In de toelichting op hun raadpleging zeggen Burgemeester en Wethouders dat als de gemeente voor een bedrag van maximaal 241.000 euro per jaar een 'stadsbus' over het Moerveldenpad zou sturen. dat niet automatisch ook openstelling van de weg voor alle verkeer zou betekenen.

    Het ligt niet voor de hand, aldus B. en W., maar het is evenmin onmogelijk.En ook: als de bus ('Zeg nooit: voor eens en voor altijd') niet doorgaat, wil dat niet zonder meer zeggen, dat de belemmeringen voor het andere verkeer worden weggenomen.

    Planschade of niet?

    De gemeente heeft 'de financiële risico's in het kader van planschadeverzoeken' laten onderzoeken. Omwonenden, met name de (verenigingen van) eigenaren van de appartementen, zouden bij een eventuele wijziging van bestemmingsplannen in het geweer kunnen komen. Het Taxatie- en adviesbureau Gloudemans komt tot de volgende conclusie: 'De eigenaren/gebruikers van de omliggende objecten komen niet in een verslechterde planologische positie te verkeren.'

     

    Dit staat in een bijlage van het raadsstuk, zonder dat is aangegeven bij welke keuze geen sprake zou zijn van een verslechterde positie. Wel raamt Gloudemans de onderzoekskosten die verband houden met de planschade-afhandeling op 200.000 euro. Zie ook: Geluidshinder.

    In de huidige situatie is het Moerveldenpad een veilige fietsroute, die rechtstreeks vanuit het noorden van Heivelden (vlakbij de Oirschotseweg) naar het winkelcentrum leidt. Als deze route - aldus een rapport over mogelijke verkeerskundige effecten - voor auto's wordt geopend, is om de kwaliteit voor de fietsers te handhaven, een vrijliggend tweerichtingenfietspad met een breedte van 3,5 meter nodig.

    Als de strook opengesteld wordt voor autoverkeer, wordt deze route, afhankelijk van het aantal aansluitingen de invalsroute voor delen van de wijk Heivelden. Hoe meer aansluitingen er op de busbaan zijn, hoe hoger de (verwachte) verkeersintensiteit. De verkeerskundigen zeggen dat als je het uitgangspunt Duurzaam Veilig hanteert, de strook een dimensie moet krijgen die vergelijkbaar is met de ontsluitingswegen Heivelden-west en Heivelden-zuid, dus ook met een maximum snelheid van 50 km/u. Het wordt dan een voorrangsroute, waar niet op de rijbaan geparkeerd wordt, maar in vakken. Verder: Op deze wegen worden snelheidsremmers beperkt toegepast.

    De onderzoekers berekenen de kosten van ombouw van de busbaan bij openstelling voor allen op een kwart miljoen euro ('minimaal 246.500 exclusief BTW'). De rijbaan blijft dan even breed als nu, fietsstroken en bussluizen worden verwijderd en er komt een fietspad los van de hoofdrijbaan.

    'De busbaan is een kaarsrechte weg. De afstand tussen de aansluitingen Heivelden-west en Heivelden-zuid is ca. 500 meter' zo vervolgt de technische rapportage. 'Hierdoor zal bij openstelling voor autoverkeer de snelheid van dit autoverkeer naar verwachting hoog zijn. Een beperkt aantal snelheidsremmende maatregelen is bij openstelling voor autoverkeer gewenst. (...).

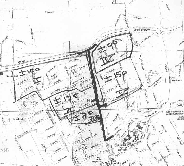
    Globale berekening 'profijt' dat autoverkeer heeft van openstelling busbaan
    Schema

    Onderzoekers gaan uit van 7 autoritten per woning per dag. De getallen in het kaartje geven bij benadering het aantal woningen per wijkdeel aan.

    Als de busbaan wordt opengezet met alleen toegangen aan de uiteinden, Heivelden-zuid en Heivelden-west genereren 150 woningen in deelgebied I dan 1050 autoritten. Als je ervan uitgaat dat ca. 30% in zuidelijke richting rijdt, zullen daardoor dagelijks 450 auto's plus sluipverkeer over de busbaan rijden. Deelgebied IV communiceert met de rest van Best via Bokvelden/Prinses Margrietlaan.

    Als er een aansluiting komt ter hoogte van Jaagvelden: Deelgebied II: 175 woningen - 1225 autoritten - 370 auto's op de busbaan ter hoogte van Jaagvelden in zuidelijke richting en 855 auto's in noordelijke richting. Op het gedeelte van de busbaan tussen Jaagvelden en Heivelden-zuid bedraagt de intensiteit dan 820 auto's plus sluipverkeer. Tussen Jaagvelden en Heivelden-west 1305 auto's plus sluipverkeer.

    Aansluiting ter hoogte van Pelgrimshei: Deelgebied III, ca. 70 woningen, 490 autobewegingen per dag - 150 auto's op de busbaan ter hoogte van Pelgrimshei in zuidelijke richting en 340 in noordelijke richting. Op het gedeelte busbaan tussen Pelgrimshei en Heivelden-Zuid bedraagt de intensiteit dan 970 auto's plus sluipverkeer. Tussen Pelgrimshei en Heivelden-west 1645 auto's plus sluipverkeer.

    Geluidshinder

    De toename van de verkeersintensiteit heeft naast consequenties voor bijvoorbeeld veiligheid ook gevolgen voor geluid, zo vervolgt de rapportage van verkeersdeskundigen. De woningen langs de busbaan zijn gewend aan hun rustige woonomgeving. Een toename van de verkeersintensiteit leidt tot een toename van de geluidsoverlast voor direct aanwonenden. Vergelijk met de passage over Planschade.

    Er zijn ook positieve effecten: auto's krijgen een kortere route naar het winkelcentrum. Maar of dat de winkels ook meer klanten zal opleveren, kunnen de onderzoekers niet zeggen. Ze merken verder op, dat omwonenden van Heivelden-west (een als ontsluitingsweg aangelegde route) minder verkeer door hun straat krijgen. Ze voegen daar weer aan toe, dat deze mensen bij het betrekken van hun woningen wisten dat ze veel verkeer voor hun deur zouden krijgen. 'Voor de bewoners van de busbaan geldt dit niet.'

    De verkeersadviseurs besluiten met de opmerking dat als men besluit, de boel de boel te laten, 'altijd een fout in de wijk Heivelden zichtbaar zal blijven'.

    Al het andere kost geld.

    Een versie van dit artikel in pdf-vorm bevindt zich onder de downloads.

    Doorsturen

    Zie ook: 'Laat die bus nou eens los. Waarom geen park?'

    Naar boven

    Scroll voor wat er al eerder over de busbaankwestie is geschreven.

     

     

     

     

    Hoe de overheid er achterover leunend in slaagt
    het openbaar vervoer om zeep te helpen

    Het zal weinig mensen zijn ontgaan, dat de overheid er achterover leunend in slaagt, het openbaar vervoer (OV) om zeep te helpen. Voor wie dat nog niet in de gaten mocht hebben, is er het Eindhovens Dagblad om dat haarfijn uit de doeken te doen. In dit geval is hhBest geneigd het vanuit dezelfde hoek te bekijken, daarom - achterover leunend - het ED volledig geciteerd:

    Busje komt niet meer

    De discussie over het openbaar vervoer in dit land krijgt zo langzamerhand een kip-of-het-ei-dimensie. Door de jarenlange bezuinigingen en inkrimpingen van lijnen hebben de stads- en streekbussen te kampen met een dalend aantal passagiers. Vooral op het platteland moet de bus het afleggen tegen het toenemend gebruik van de auto. Maar de Adviesdienst Verkeer en Vervoer (AVW) pleit er nu voor om opnieuw drastisch te snijden in het stelsel van busdiensten. De traditionele buslijn moet van de AVW verdwijnen om plaats te maken voor een systeem waarbij de bussen alleen nog maar rijden als de reiziger er om vraagt. Vraagafhankelijk vervoer dus. De Adviesdienst constateert namelijk dat de bus straks anders onbetaalbaar wordt.

    Logisch gesproken is er met deze analyse van de AVW niet veel mis. Maar het is interessant om na te gaan hoe het zit met oorzaak en gevolg. Ofwel te bezien wat de reden is van het afnemend gebruik van de stads- en streekbus. Want in feite is de reiziger met zoveel woorden de bus is uit gejaagd. De overheid heeft de afgelopen jaren immers weinig nagelaten om het busvervoer in de stad en op het platteland uit te kleden. Er was namelijk te weinig geld beschikbaar om deze vorm van openbaar vervoer op peil te houden, laat staan dat er voldoende middelen waren voor investeringen. Door het opheffen van haltes en diensten kreeg de auto als alternatief vrij spel, bij gebrek aan beter. Dat daardoor talloze ouderen of gehandicapten die niet (meer) over een auto beschikken in hun mobiliteit ernstig zijn beperkt behoeft geen betoog.

    Soms is de wijze waarop met het busvervoer wordt omgegaan zelfs ronduit potsierlijk te noemen. Zo wordt fors geïnvesteerd in een hoogwaardig openbaar vervoerslijn van Veldhoven naar Eindhoven - op zich terecht - maar verdwijnen elders in Veldhoven conventionele busdiensten. Waar de AVW nu voor pleit is een direct gevolg van de weigering van de overheid werk te maken van een goed functionerend openbaar busvervoer. Als minister Peijs van Verkeer dat advies overneemt, leidt dat uiteindelijk tot de definitieve nekslag voor de bus. De gevolgen zullen duidelijk zijn: nog meer verstopping van de wegen en stadscentra door toenemend autogebruik. In een land dat lijkt af te stevenen op een verkeersinfarct is niks anders dan het paard achter de wagen spannen. Straks staat iedereen met de auto in de file. Alleen is er dan geen bus meer te bekennen die nog enig soelaas kan bieden.

    Eindhovens Dagblad 10.02.05

    Je zou er alleen nog aan kunnen toevoegen, dat geen enkele overheid of semi-overheid (rijk, provincie, samenwerkingsorgaan, gemeente) zal aarzelen 'de ander' de schuld te geven. Wat het zwartepieten over het OV is al jaren aan de gang. Is het gek dat de burger niemand van die veelkoppige overheid nog gelooft?

     

    Doorsturen

    Reageren

    Eindhovens Dagblad online

    Naar boven

    Alweer een onderzoek of....?

    Nieuwsbrief

    12.01.05 15:40
    Alweer een onderzoek, of nog steeds hetzelfde? Trouwens, waarom laat dit Bewonersoverleg niet het achterste van zijn tong zien? Bang voor de autolobby? Aan dit soort mededelingen heeft niemand wat.

    Doorsturen

    Reageren

     

    Knipsel

    Provinciebestuurder wil SRE
    bevoegdheden ontnemen

    06.12.04 16:12
    Provinciebestuurder Onno Hoes wil, volgens een bericht in het Eindhovens Dagblad het Samenwerkingsorgaan Regio Eindhoven (SRE) de bevoegdheid ontnemen om over nieuwe wegen te beslissen. Goed idee! Laat men dan ook het openbaar vervoer maar naar de provincie overhevelen. Komt er misschien een zinnige beslissing over die vrije busbaan.


    'Het gaat niet om de bestemming van de busbaan,
    maar om die van het Moerveldenpad'

    05.12.04 10:05
    Thomas Versteegh, bewoner/eigenaar van een appartement aan wat heet 'de vrije busbaan' schreef enkele weken geleden een brief over 'de affaire' aan Burgemeester en Wethouders van Best en de leden van de Bestse gemeenteraad. Hij deelt mee: 'Ik vind van belang dat de discussie verschuift van "de bestemming van de busbaan" naar "de bestemming van het "Moerveldenpad".'.

     

    Aan: Burgemeester en Wethouders van de gemeente Best

    Raadsleden van de gemeente Best

    Postbus 50

    5680 AB Best

    Best, 24 november 2004

    Betreft: bestemming Moerveldenpad

    Geacht Bestuur,

    Het verslag van de stand van zaken en de “uitleg” van Wethouder Gondrie alsmede de ingezette acties betreffende de Busbaan, zoals weergegeven op de gemeentelijke website met de datum 22 november 2004, verontrusten mij niet alleen maar wekken ook mijn verontwaardiging.

    Ik woon in Heivelden in een appartement dat parallel ligt aan het Moerveldenpad. Voor de koop van het appartement ben ik twee keer op het gemeentehuis geweest en heb mij aan de hand van plantekeningen voor de wijk ervan overtuigd dat het appartement zou komen te liggen aan de rand van een groenstrook / parkachtig gebied waardoor een fietspad zou worden aangelegd. Door twee aanwezige ambtenaren werd mij toen medegedeeld dat er in de toekomst “misschien een busbaan zou worden aangelegd”.

    Vervolgens hebben we 5 jaar moeten wachten vooraleer er van een fatsoenlijke groenstrook sprake was en nog eerder werd er een busbaan aangelegd waar bij mijn weten echt niemand om heeft gevraagd. In plaats van nu maar steeds te blijven drammen over een autoweg door een gebied dat als park bedoeld was, zou het beter zijn dat u eens na zou gaan hoe u de oorspronkelijke plannen voor het gebied zou kunnen realiseren: dus weg met die busbaan en maak er een mooi fietspad van door een parkachtige omgeving zoals beloofd en bedoeld in uw plannen.

    Het argument van “de bereikbaarheid van het winkelcentrum” slaat nergens op. Er zijn weinig winkelcentra die zo goed bereikbaar zijn. De hoge huurprijs van de bedrijfsruimten in het winkelcentrum alsmede het ruime aanbod van winkelruimten in Best lijken mij eerder de oorzaken van de leegstand. En wat is “sluipverkeer” eigenlijk? Gewoon 30 km-per-uur-verkeer door de wijk heb je altijd. Maar gelukkig kan er niet meer, zoals vier (!!) jaar wel het geval is geweest – en dat was al erg genoeg – over een smal stuk asfalt, tussen huizen en appartementen, als een gek gereden worden. Helaas zijn er altijd lieden voor wie het te langzaam zal gaan maar het lijkt me niet dat men als bestuur daar de oren naar moet laten hangen. Verkeersveiligheid, het tegengaan van verkeerslawaai en wat beweging op de fiets lijken mij belangrijker waarden om na te streven in een woonwijk.

    De benadering van het gemeentebestuur (Raad en B&W) over de bestemming van het Moerveldenpad is m.i. wat venijnig en verraderlijk. Het gaat niet om de bestemming van de busbaan maar om de bestemming van het Moerveldenpad, oorspronkelijk bedoeld als fietspad. Als er geen bussen over de busbaan rijden en als er geen of nauwelijks behoefte blijkt aan busvervoer dan leg je het beloofde fietspad aan. Daar ga je dan geen autoweg van maken!! De benadering van het gemeentebestuur impliceert de gedachte dat men, als de planschadeclaims betaalbaar zouden zijn er wel een autoweg aangelegd zou kunnen worden. Net zo min als destijds op een busbaan zitten we nu te wachten op een autoweg door een gebied dat als groengebied bedoeld is. Natuurlijk zijn er altijd wel een paar niet nadenkende autogekken die tussen de schoolgaande en spelende kinderen met hun auto zo snel mogelijk naar het winkelcentrum willen scheuren. Dát hebben we vier jaar kunnen zien en horen.

    Maar van verantwoordelijke bestuurders mag men verwachten dat men zich niet laat leiden door krompraat en

    en dat ze tegenover haar inwoners een eerlijke en verstandige benadering kiezen die recht doet aan de beloften die zij bij de verkoop van de woningen destijds tegenover de toekomstige bewoners hebben gedaan.

    Met vriendelijke groet,

    T.F. Versteegh

    Doorsturen

    Ook reageren

    Meer over de busbaanaffaire hieronder


    Gemeente schetst stand van zaken nog ongebruikte vrije busbaan

    In het gemeentelijk voorlichtingsblad Best Informatief van 23.11.04 staat de volgende ontboezeming van het gemeentebestuur over de nog ongebruikte vrije busbaan in de wijk Heivelden. Er blijkt uit, dat de gemeenteraad wellicht in het eerste halfjaar van 2005 spijkers met koppen kan slaan. Het enige wat op dit moment vast staat is, dat het de gemeente hoe dan ook geld gaat kosten. Meer achtergrondinformatie plus een commentaar van deze website op het communiqué van de gemeente staat verderop deze pagina.

    Paul Gondrie
    Wethouder Gondrie.
    Foto CDA Best.

    Het gemeentebestuur schrijft:
    De laatste weken is het onderwerp 'busbaan' meerdere malen in de publiciteit gekomen. (...) Tijdens de bespreking van de begroting twee weken geleden is aan wethouder Gondrie gevraagd om hierover uitleg te geven. In dit artikel blikken we kort terug op de acties in het verleden. Daarnaast geeft wethouder R Gondrie aan hoe het nu verder gaat.

    Waarom nu nog geen bus?

    Om tot ontwikkeling van een Vinex-locatie te kunnen komen werd vanuit het Rijk de opname van een openbaar vervoervoorziening als randvoorwaarde gesteld. 'Ten tijde van de ontwikkeling van de vinex-wijken Heuveleind en Heivelden kon de gemeente ervan uit gaan dat er verbindingen met het openbaar vervoer zouden komen. Op basis hiervan heeft de gemeente de busbaan aangelegd', aldus wethouder Gondrie. In de eerste helft van 2003 heeft er vervolgens een proef plaatsgevonden met een buslijn die een vaste route in Best reed. Het aantal reizigers viel echter tegen. Deze lage bezettingsgraad was voor het Samenwerkingsverband Regio Eindhoven (SRE) mede aanleiding om in haar algemeen beleidsplan voor het openbaar vervoer in de regio Zuidoost-Brabant ("ORION II") géén busverbinding in Heuveleind en Heivelden op te nemen. Een reactie vanuit de gemeenteraad waarin werd aangedrongen op het realiseren van een busverbinding door en naar beide wijken heeft hieraan niets veranderd.

    Mogelijkheden

    Wat gebeurt er nu met de busbaan? Volgens wethouder Gondrie heeft de gemeente twee opties. 'Of de busbaan openstellen voor alle verkeer, of als gemeente een flinke tast in de buidel doen en de kosten zelf voor onze rekening nemen.' Beide opties hebben voor- en nadelen. In de eerste situatie kan de gemeente wellicht een aantal planschadeverzoeken van aanwonenden tegemoet zien. Om de mogelijke risico's in kaart te brengen is een extern bureau ingeschakeld.Voordelen zijn de bereikbaarheid van Winkelcentrum Heivelden en een mogelijke afname van sluipverkeer in de wijk. Wanneer er wel één of meerdere bussen gaan rijden, wat betekent dit dan? Die vraag heeft de gemeenteraad in een motie aan de wethouder gesteld. Wethouder Gondrie heeft toegezegd om samen met vervoersbedrijf BBA de mogelijkheden op een rijtje te zetten. 'Ik heb de gemeenteraad er wel meteen op gewezen dat dit de gemeente geld gaat kosten. Hiermee is in de begroting géén rekening gehouden. Dit zou consequenties kunnen hebben voor gemeentelijke belastingen en dus de lasten van de inwoners'. De gemeente is inmiddels met de BBA in overleg. De gemeente heeft aangedrongen op de variant om de bestaande buslijnen een langere route te laten rijden, waarbij ook Heivelden wordt meegenomen. Het is de bedoeling dat zowel het overleg met de BBA als het rapport over de mogelijke planschaderisico's in het eerste kwartaal van 2005 afgerond zijn. Beiden worden aan de raad aangeboden. Aan de hand hiervan moet de raad een besluit nemen.

    Naar fragment Nieuwsbrief Bewonersoverleg

    Sluipverkeer

     

    Guido t'Sas

    Observer

     

    Erg veel nieuws heeft het gemeentebestuur ons over de stand van zaken rond de 'ongebruikte' vrije busbaan nog niet te bieden. Het wachten is weer eens op de uitkomst van onderzoeken, waarvoor (waarom eigenlijk?) een extern bureau is ingeschakeld. Ik zou zeggen, bel de verenigingen van eigenaren van de appartementencomplexen aan de vrije busbaan maar eens op en je krijgt direct te horen, dat het vrij geven van de busbaan voor alle verkeer zóveel aan planschadevergoedingen gaat kosten, dat je er een gratis bus voor kunt laten rijden.

    Toen in het voorjaar van 2003 een proef werd genomen met een bus, die rondjes reed door Best, van het station NS via Wilhelminadorp, Heuveleind en Heivelden naar station NS, gebruikte ik de volgende stelling: 'Het mislukken van deze halfslachtige proef zal de overheid nimmer een alibi verschaffen, om de vrije busbaan op te heffen'. Welnu, uit het verhaal van de gemeente blijkt, dat het Samenwerkingsverband Regio Eindhoven (SRE) in de inderdaad mislukte proef wel degelijk dat alibi heeft gevonden en dat de gemeente zich daar kennelijk - zij het schoorvoetend - bij heeft neergelegd.

    De gemeente Best stapelt fout op fout. Het begon er al mee, dat voetsstoots de 'richtlijnen' met betrekking tot Vinexwijken van de rijksoverheid werden gevolgd, zonder dat de gemeente zich ervan vergewiste of de hier praktiserende OV-organisatie (BBA) wel bereid was, aan dit openbaar- vervoersbeleid daadwerkelijk mee te werken. Een geweldige misser vind ik ook de manier, waarop de ontsluiting van met name de wijk Heivelden uiteindelijk vorm heeft gekregen: een soort, aan zwarte klinkers herkenbare, slingerende binnenring rond de vrije busbaan. Over die 'binnenring' (deels 30 km/u, want ook woongebied) beweegt zich met veel schwung het woon-, werk-, school- en boodschappenverkeer. De gemeente noemt dat sluipverkeer. Gaat dat straks soms het argument zijn, om de busbaan open te breken? Mooi niet!

    Naar de verklaring van de gemeente

    Doorsturen

    Reactie oud-wethouder Jan van Beerendonk

    Ook reageren

     

    Gerommel rond 'ongebruikte' busbaan


    15.06.04 13:58
    Paul Gondrie, de wethouder die in Best over de verdeling en besteding van de openbare ruimte gaat, laat onderzoeken wat de gemeente aan planschadeclaims van omwonenden boven het hoofd hangt, als de vrije busbaan in Heivelden zou worden opengesteld voor alle verkeer. Dat maakt de tongen weer eens flink los over dit fenomeen.
    Onderstaande ontboezeming van Dennis Hak trof ik aan in het weekblad Groeiend Best. Ik vind dat Hak de spijker op z'n kop slaat.
    De busbaan in Heivelden ligt er al enige tijd ongebruikt bij. Jammer, maar heerlijk rustig. De rustige ligging is een belangrijke reden geweest om in een appartement aan de busbaan te gaan wonen.
    Busbaan
    Een partijtje zomeravondlijke straattennis op de busbaan.

    In het artikel van afgelopen week wordt beweerd dat velen graag zien dat de busbaan wordt opengesteld voor het normale verkeer. Wie zijn die velen dan? Vast niet de bewoners die direct aan de busbaan wonen en voor wie dit consequenties zal hebben. De rustige ligging kunnen ze dan op hun buik schrijven.
    Dat wellicht een enkeling zoals Henny Meeusen van Best Kids denkt dat het winkelcentrum gebaat is bij de openstelling van de weg (lees meer klandizie) geloof ik niet. Meer klandizie zal er toch vooral moeten komen door invulling van de lege panden in het winkelcentrum. Dat deze leeg staan is echt niet te wijten aan de busbaan, want het winkelcentrum is voor iedereen uitstekend te bereiken, maar waarschijnlijk aan de huurprijzen en huidige economische klimaat.
    Het is te betreuren dat de proef met de busbaan niet is geslaagd, maar dit is met name spijtig voor de bewoners van de wijk die afhankelijk zijn van het openbaar vervoer. De busbaan wordt op dit moment vooral recreatief gebruikt. Je vindt er spelende kinderen, wandelaars, fietsers en skaters. Dit is iets wat ik alleen maar kan toejuichen. Wellicht moet de gemeente hier eens over nadenken. Met meer bomen en overig groen is er een prachtig recreatief wandel-fiets-skate park van te maken. Een aanwinst voor Heivelden waar alle bewoners plezier aan kunnen beleven. Bovendien blijft op deze wijze de rust voor de bewoners gewaarborgd.
    Tot zover Dennis Hak.
    Ik kan er nog aan toevoegen van Supermarktondernemer Ton Henst te hebben vernomen, dat er gemiddeld 4000 (!) mensen per dag door de passage van het winkelcentrum Heivelden gaan. En Van Henst kan het weten. Hij is een tevreden zakenman in deze passage, zonder een voor alle verkeer opengestelde busbaan.
    Naar boven
    Doorsturen


    Wanneer komt die bus onderhand eens op die baan?

    21.04.04 8:54
    Open brief aan wethouder P.Gondrie in Groeiend Best van deze week

    Geachte heer Gondrie,
    Mijn vrouw en ik, wonende op de Rendierhei langs de busbaan, willen het probleem van de busbaan weer eens onder uw aandacht brengen. Wij begrijpen heel goed dat u momenteel bijna al uw tijd nodig heeft om Best op te stuwen in de vaart der volkeren en dat de plannen en de visies betreffende een bruisend centrum al uw creativiteit dreigen op te slokken. Het Groeiend Best en het Eindhovens Dagblad wijden hele pagina's aan dit onderwerp en het E.D. heeft zelfs een wethouder verkeerd geciteerd over zaken die niet gezegd zijn. Dat mag allemaal zo zijn, maar alle commotie met betrekking tot deze plannen dreigt een concreet probleem geheel naar de achtergrond te verschuiven. Een probleem dat nog geen jaar geleden ook het Eindhovens Dagblad haalde en waar zelfs landelijke dagbladen aandacht aan hebben besteed: het feit dat er in Heivelden een prachtige busbaan ligt, maar waar tot op heden een (streek)bus schittert door afwezigheid.
    Wij willen u er weer aan herinneren, dat veel bewoners in de appartementen langs de busbaan zijn komen wonen omdat in bouwbrochures en documentatie, mede ondersteund door uw ambtenaren, gesproken werd over een busverbinding naar het centrum, het station en mogelijk naar Tilburg en Eindhoven. Nog geen jaar geleden werd in de politiek veel tijd besteed aan de busbaan, plannen werden gesmeed, er werd een proef met een rondrit busje gedaan, er werden gesprekken gevoerd met de betrokken busmaatschappij en toen werd het stil,
    heel stil
    Het is heel vertederend om de busbaan vol met fietsende kinderen en hun ouders te zien die op weg zijn naar school of van school weer naar huis, de busbaan gebruikt te zien worden als skatebaan of rolhockeyveldje, maar ook u bent er hopelijk van overtuigd dat er in eerste instantie een bus over de busbaan hoort te rijden. Graag zouden wij van u willen horen wat de huidige stand van zaken betreffende het laten rijden van een (streek) bus over de busbaan is en wat de vooruitzichten zijn. Wij hopen op een spoedige reactie van uw kant.

    Met vriendelijke groeten,

    Jos en Gemma Ruttenberg Rendierhei 63 5685 HS Best.

     

    Archief: 2003:

    Gemeenteraad opteert voor behoud Bestse busbaan

    In Best is sinds het begin van 2003 een discussie gaande over de vraag, of een kostbare busbaan, die dwars door de wijk loopt, metterdaad door een buslijn zal/moet worden gebruikt of niet. Er is dat voorjaar een slecht opgezette proef met een soort stadsbus gedaan, die bij voorbaat tot mislukken gedoemd was. Dit is de stand van zaken, sinds mei 2003:

    Het is nog te vroeg om van eind goed al goed te spreken, maar eensluidende krantenverhalen zeggen het: de Bestse gemeenteraad opteert voor het behoud van de vrije busbaan door Heuveleind/Heivelden. De raad, althans het lid Wout Gloudemans, erkent dat de dit voorjaar genomen proef 'gedoemd was te mislukken'. Waar is die stelling eerder geponeerd?

    Wethouder P. Gondrie zegt nu, volgens het weekblad Groeiend Best: 'Ik ben reëel genoeg om eventueel genoegen te nemen met een buurtbus over de busbaan. Meer zit er blijkbaar niet in.' De gemeenteraad zal nu bij het Samenwerkingsverband Regio Eindhoven (SRE) aandringen op 'goed openbaar vervoer door de wijken Heuveleind en Heivelden'.

     

    Blijft de busbaan wel of niet?

    Blijft de busbaan wel of niet? Deze vraag zet de gemeente op 18 maart boven een artikeltje over het experiment met de stadsbus in haar wekelijks voorlichtingsblad Best Informatief.

    Ik vind dat de gemeente de burgers geen vragen moet stellen, maar vragen van burgers moet beantwoorden.

    Op 8 april geeft de gemeente aanvullende informatie.

    De Vereniging van Eigenaren van het appartementencomplex Veldtstaete heeft het gemeentebestuur van Best de volgende brief geschreven over de busbaankwestie. De bewoners willen haring of kuit over de bedoelingen van de gemeente met de groene as, die zij indertijd als pro-argument heeft gebruikt bij het voorlichten van adspirant kopers van de appartementen.

    Best, 7 april 2003.

    Aan de Gemeenteraad
             leden College van B en W
    Gemeente Best.

    Betreft: Reactie Vereniging van Eigenaren appartementen op uitspraken wethouder omtrent busbaan in het plan Heivelden.


    Geachte leden van de Gemeenteraad en College van B en W,

    De gezamenlijke bewoners van het appartementencomplex Veldtstaete aan de Vogelhei alhier hebben in hun Algemene Vergadering hun ernstige ongerustheid uitgesproken over de dreigende ontwikkelingen rond de busbaan, ontwikkelingen welke hun woongenot in ernstige mate kunnen aantasten.
    Zij doelen hier in het bijzonder op uitlatingen van de verantwoordelijke wethouder dat, ondanks het zwaar tegenvallende aantal passagiers, de proef met de nu rond rijdende bus toch wordt voortgezet en volgens plan wordt afgerond met het oog op mogelijke planschadeclaims.
    Een dergelijke opmerking wekt op zijn minst de suggestie dat wordt gedacht over een aanpassing van de bestemming van de busbaan c.q. aanpassing van het bestemmingsplan.

    Al sinds de opening van de busbaan wordt een discussie gevoerd over het al of niet handhaven van de busbaan.
    De Verenigingen van Eigenaren van zowel het complex aan de Vogelhei als het appartementencomplex De Hofstede aan de Pelgrimshei hebben zich reeds vroeg in deze discussie gemengd middels een ingezonden brief in Groeiend Best, waarin zij als opvatting te kennen gaven dat, wat ook de ideeën van de gemeente zullen zijn, het autovrije karakter van het Moerveldenpad gehandhaafd dient te blijven conform het vigerende bestemmingsplan.

    Inmiddels heeft de gemeente in samenwerking met SRE en BBA een proef ondernomen met een busverbinding waarvan het Moerveldenpad deel uitmaakt.
    Wij hebben de indruk dat vrijwel niemand ooit iets gezien heeft in deze stadsbus.
    Een buurtbus of een lijnbus Eindhoven-Tilburg of Eindhoven-Den Bosch, die periodiek de wijk aandoet, zouden velen liever gerealiseerd hebben gezien.
    De uitkomsten van de huidige proef met de busbaan zijn daardoor onbetrouwbaar en verre van representatief.
    Mislukken van het experiment zal naar onze mening dan ook geen reden kunnen zijn de busbaan op te heffen, met als mogelijke uitkomst het vrijgeven van het Moerveldenpad voor autoverkeer.

    Los van voorgaande wijzen wij U er op dat de gemeente destijds potentiële kopers van onze appartementen uitvoerig heeft ontvangen en voorgelicht over de genoegens van het wonen aan de zogenaamde groene as, alleen bestemd voor langzaam verkeer, een fietspad. Hoogstens zou er, zo werd ons voorgehouden, in de toekomst eventueel, maar daar waren nog geen plannen voor, sprake kunnen zijn van een busbaan met periodiek busverkeer.
    Uitvoerig werd daarbij ingegaan op het bestemmingsplan en op de wijze waarop de groene as zou worden aangekleed.
    .
    Bewoners zijn door het vooruitzicht en de wetenschap van een blijvend autovrije ligging tot koop van een appartement aangemoedigd.
    Velen hebben reeds vier jaar kunnen "genieten" van het voortrazende verkeer op wat toen nog een bouwweg was, en dat vinden zij meer dan voldoende.
    Dat verkeer werd overigens niet alleen veroorzaakt door medebewoners van de wijk, maar vooral ook door sluipverkeer van en naar Oirschot, met een toename na het plaatsen van de stoplichten op de kruising Oirschotseweg/Prinses Christinalaan.

     

     

     

     

     

     

    Nu de bouwweg busbaan is geworden hebben wij eindelijk de rustige woonomgeving die ons beloofd is en waarop wij dan ook recht menen te mogen hebben.
    Het reeds jaren geleden beloofde groen op de groene as is er uiteindelijk toch nog gekomen, waarvoor onze dank.

    Argumenten als zou het winkelcentrum klandizie missen als gevolg van bereikbaarheids-problemen gaan o.i. niet op. Immers, elke startende ondernemer zal zich bij een besluit tot vestigen vooraf oriënteren op de vestigingsplaats en bereikbaarheid en daarvoor te rade gaan bij de gemeente c.q. het bestemmingsplan.
    Bovendien blijken de pal naast het winkelcentrum gelegen scholen zichtbaar ook goed bereikbaar voor een groot aantal auto's dat hier vier keer per dag af- en aanrijdt.


    Met de bereikbaarheid van het winkelcentrum Heivelden is zo te zien niks mis.

    U zult na lezing van voorgaande begrijpen dat wij, los nog van de perikelen rond de invulling van de busbaan, geen voorstander zullen zijn van aanpassing van de bestemming van het Moerveldenpad. Wij zien dat als een ernstige aanslag op ons woongenot en op de kwaliteit van het ons beloofde leefmilieu.

    Naar aanleiding van voorgaande richten wij ons tot u met de volgende vragen:
    - Wat bedoelt de verantwoordelijke wethouder precies met de aangehaalde uitspraken?
    - Is de wethouder voornemens een voorstel in te dienen tot wijziging van de bestemming van het Moerveldenpad?
    - Zijn er voornemens bij de gemeenteraad om de bestemming van het Moerveldenpad te wijzigen?
    - Zo neen, hoe staat de gemeenteraad tegenover genoemde uitspraken van de verantwoordelijke wethouder?
    - Kan de gemeenteraad een principe-uitspraak doen over deze kwestie?

    Gezien het belang van deze zaak stellen wij het op prijs zo spoedig mogelijk een reactie uwerzijds te mogen ontvangen.

    Met vriendelijke groeten,


    Namens de Vereniging van Eigenaren Veldtstaete
    De voorzitter van het bestuur:
    Drs. J.L.G.Lemeer
    Vogelhei 27
    5685 GR Best

     

    Het antwoord van de gemeente kwam in de tweede week van december (!) 2003 binnen.

     

     

     

     

     

     

     

     

     

     

     

     

     

     

     

     

    Gemeente Best

    Datum: 4 december
    Verzonden: 11 december

    Geachte heer Lemeer,

    Wij hebben kennis genomen van de inhoud van uw bovenvermelde brief. Naar aanleiding van uw brief en aansluitend op het gesprek dat u heeft gehad met de heer H. Baudoin van de afdeling Algemene Zaken delen wij u het volgende mede.

    Zoals bekend wordt de laatste jaren door de Rijksoverheid fors bezuinigd op het openbaar vervoer. Het openbaar vervoer in de regio Eindhoven wordt geregeld door het Samenwerkingsverband Regio Eindho­ ven (SRE). Door de laatste bezuinigingen van de Rijksoverheid is het SRE gedwongen om extra beleids­ maatregelen te treffen. Dit heeft onder meer geresulteerd in de opstelling van het nieuwe beleidsplan voor het openbaar vervoer, ORION 2 genaamd. Dit plan is door de Regioraad in oktober 2003 vastge­ steld. Op basis van dit nieuwe plan is de oorspronkelijk geplande busontsluiting van de wijken Heuvel-eind-Heivelden geschrapt. In deze kan wellicht ten overvloede worden opgemerkt, dat de gemeente Best meerdere malen getracht heeft om een lijnbus te krijgen.

    Wij zien ons dus nu voor de situatie geplaatst, dat wij in de vinexwijken Heuveleind-Heivelden een bus­ baan hebben liggen, zonder dat daar een lijnbus gebruik van maakt.

    Op dit moment stellen wij alles in het werk om op de busbaan een buurtbusontsluiting te krijgen. Wij verwachten pas volgend jaar hierover van het SRE duidelijkheid te krijgen.

     

     

    Verder is besloten om een studie te verrichten naar de mogelijke alternatieve consequenties van het niet

    gebruik van de busbaan. Alle mogelijke opties worden in kaart gebracht.

    Wij verwachten dat die studie enige tijd in beslag neemt en vragen u hiervoor begrip te hebben.

    Voorts heeft u geklaagd over de ondervonden overlast en de gevaarlijke verkeerssituaties als gevolg van het onjuiste gebruik van de busbaan in uw wijk. Naar aanleiding hiervan merken wij op, dat door fysieke maatregelen alsmede het eerder genomen verkeersbesluit het aantal verkeersdeelnemers op de busbaan dat gebruik mag maken van die baan sterk is beperkt.

    Dat ondanks het verbod en de aanwezige bussluizen in het wegdek andere voertuigen dan toegestaan gebruikmaken van de busbaan, is te betreuren, maar niet met verdere maatregelen te voorkomen. Wij hebben daarom de politie gevraagd om ter plaatse zo nodig handhavend op te treden.

    Indien u nog vragen heeft over deze brief kunt u zich wenden tot de heer H. Baudoin, tel. 0499-360256.

    Hoogachtend,

    Burgemeester en wethouders van Best

    De secretaris De burgemeester

    Doorsturen

     

    Het gaat in de Bestse wijk Heivelden eigenlijk om veel meer dan om het behoud van een vrije busbaan c.q goed openbaar vervoer. Het gaat óók om de rust en de veiligheid van omwonenden, fietsende en lopende gezinnen met kinderen, overstekende schoolkinderen, hondenuitlaters, skaters, ouderen en gehandicapten in elektro wagentjes. Die voordelen van een autovrije zone kunnen de opgesomde belanghebbenden niet zomaar worden afgepakt.

     

     

    SRE-plan voorziet in buurtbus voor HH

    Een aanpassing van het openbaar vervoerplan van het Samenwerkingsorgaan Regio Eindhoven (SRE), Orion II, voorziet in een buurtbuslijn door de Bestse wijken Heuveleind en Heivelden (HH). Dit blijkt uit een bericht in het Eindhovens Dagblad van 25.08.03

    Edso Wijvekate van de SRE mailt mij desgevraagd:

    Hetgeen in Orion II is opgenomen in de lijnennetstudie vormt het
    minimumvoorzieningenniveau dat de vervoerder moet gaan rijden na 1
    januari 2006. Voor die tijd zal wettelijk het openbaar in de regio
    aanbesteed worden.
    Dit geldt dus ook voor de buurtbus in Best. Wel hebben wij de
    vervoerbedrijven gevraagd om ook de komende jaren met
    dientregelingsvoorstellen zoveel mogelijk rekening te houden met Orion
    II. Kortom de besprekingen zijn gaande, wanneer de buurtbus komt is niet
    te zeggen, in ieder geval op 1 januari 2006.


     

     

    Jongste communiqué van de gemeente Best over de busbaan